Từ khởi kiện đến kháng cáo
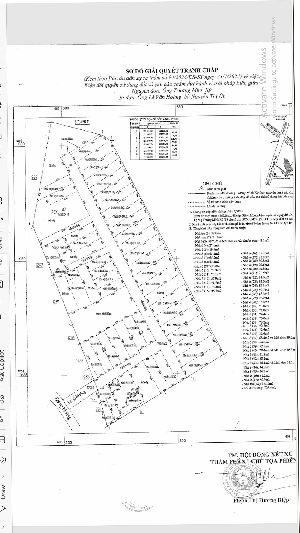
Theo hồ sơ vụ án được Tòa án nhân dân tỉnh Bình Dương xem xét tại phiên tòa phúc thẩm gần đây, tranh chấp đất đai xảy ra giữa ông Trương Minh Ký (SN 1967) và một số cá nhân khác tại khu đất ở khu phố Khánh Long, phường Tân Phước Khánh.

Cụ thể, từ năm 2017, ông Ký phát hiện ông Lê Văn Hoàng (SN 1967, quê An Giang), bà Nguyễn Thị Út (SN 1967) và ông Ngô Văn Phúc (SN 1982) đã tự ý xây dựng trái phép trên thửa đất rộng gần 6.500m2 thuộc sở hữu của mình.
Thửa đất này đã được UBND huyện Tân Uyên (nay là TP. Tân Uyên) cấp Giấy chứng nhận quyền sử dụng đất cho ông Ký vào năm 1999.
Mặc dù ông Ký đã nhiều lần tố cáo và khởi kiện, các bị đơn vẫn ngang nhiên tiếp tục xây dựng và bán nhà, bán đất cho người khác dưới hình thức lập vi bằng.
Giá mỗi căn nhà dao động từ 800 triệu đến 1,2 tỷ đồng; mỗi nền đất từ 250 đến 500 triệu đồng.
Đáng chú ý, ông Hoàng còn từng khởi kiện để hủy bỏ giấy chứng nhận quyền sử dụng đất của ông Ký, nhưng yêu cầu này đã bị Tòa án nhân dân cấp cao tại TP.HCM bác bỏ.

Tại phiên tòa sơ thẩm vào ngày 23/7/2024, Tòa án nhân dân TP. Tân Uyên đã chấp nhận yêu cầu của ông Ký, buộc các bị đơn phải tháo dỡ công trình và trả lại đất.
Tuy nhiên, ông Hoàng đã kháng cáo, cho rằng mình xây nhà trên đất do mẹ (bà Điệp, đã mất) để lại. Trong vụ kiện này, có tới 71 người có quyền lợi và nghĩa vụ liên quan, chính là những người đã mua nhà, đất từ ông Hoàng. Họ không đồng ý với bản án sơ thẩm và đã cùng kháng cáo lên Tòa án nhân dân tỉnh Bình Dương.
Tại phiên tòa phúc thẩm mới đây, HĐXX nhận thấy vụ án còn nhiều vấn đề cần làm rõ. Do đó, HĐXX đã quyết định hủy bản án sơ thẩm và trả hồ sơ để điều tra bổ sung.
Ông Trần Trọng Hậu, một trong những người dân mua nhà tại đây, bày tỏ: "Sau khi tòa tuyên hủy bản án, chúng tôi về hỏi ý kiến luật sư và nhờ luật sư chỉ phương án kháng cáo tiếp. Mong muốn của tôi là tòa án, nhà nước đưa ra sự công bằng vì chúng tôi không chiếm đoạt tài sản của ai mà đã tích cóp để mua căn nhà này”.
“Cái bẫy” vi bằng
Điều đáng chú ý là từ tháng 12/2019, khi phát hiện ông Hoàng bắt đầu xây dựng trái phép căn nhà cấp 4 đầu tiên để bán, ông Ký đã kịp thời gửi đơn yêu cầu tòa án áp dụng biện pháp khẩn cấp tạm thời. Tòa án đã chấp thuận và ra quyết định cấm ông Hoàng tiếp tục xây dựng.

Tuy nhiên, bất chấp quyết định của Tòa án, ông Hoàng vẫn ngang nhiên vi phạm. Ông Hoàng không chỉ tiếp tục xây nhà trên đất nông nghiệp mà còn bán cho người dân dưới hình thức viết tay và lập vi bằng.
Đến tháng 11/2023, cơ quan chức năng ghi nhận có 48 công trình nhà ở các loại xây dựng trái phép trên khu đất này.
Điều đáng lo ngại hơn cả là các giao dịch mua bán nhà đất này đều diễn ra trong thời gian vụ án đang được xét xử, khiến cho những người mua nhà rơi vào tình cảnh vô cùng khó khăn.
Họ đã bỏ ra một số tiền lớn nhưng lại không có bất kỳ giấy tờ pháp lý nào đảm bảo quyền sở hữu, bởi vi bằng chỉ là văn bản ghi nhận sự việc, không có giá trị thay thế giấy tờ nhà đất hợp pháp.
Bà Nguyễn Thị Lý (50 tuổi, quê Phú Yên) cho biết, sau nhiều năm làm công nhân và ở nhà thuê, đến năm 2020, gia đình đã gom góp, vay mượn để mua căn nhà 1 trệt 1 lầu của ông Hoàng với giá 970 triệu đồng, diện tích 95m2, với hy vọng "an cư lạc nghiệp" ở Bình Dương. Thế nhưng, giờ đây, lại lâm vào tình cảnh "tiến thoái lưỡng nan".

Bà Lý bức xúc nói trong nước mắt: "Xa quê vô đây mua rồi ở chứ không biết người ta lợi dụng hay nhầm vào đất tranh chấp. Nếu biết tranh chấp thì có rẻ mấy cũng không dám mua. Đất nhà ở quê cũng bán năm 2022, giờ không còn gì mà nợ thì vẫn còn, giờ nhắc đến chỉ muốn khóc".
Cũng như gia đình bà Lý, ông Võ Kim Trọng (38 tuổi, quê Đăk Nông) như "ngồi trên đống lửa" khi biết căn nhà mua của ông Hoàng đang nằm trong diện tranh chấp.
Ông Trọng nói, gia đình mua căn nhà do rẻ nhưng khi ở mới thấy vô cùng khó khăn khi không được tạm trú, giờ lại có nguy cơ mất trắng.
"Tới đây mất coi như trắng tay, giờ còn nợ ngân hàng 400 triệu đồng do nội, ngoại, họ hàng ở quê vay cho. Vợ chồng làm công ty ở TP. Dĩ An (cách căn nhà khoảng 20km) nhưng do mua nhà vi bằng không xin được tạm trú nên ở đây nhưng các con phải học ở Dĩ An. Ở trọ còn xin được tạm trú còn mua nhà này không xin được”.
Công an vào cuộc
Mới đây, Cơ quan CSĐT, Công an tỉnh Bình Dương đã có công văn gửi đến UBND phường Tân Phước Khánh đề nghị phối hợp xác minh việc lừa đảo chiếm đoạt tài sản do ông Lê Văn Hoàng thực hiện.
Cơ quan CSĐT yêu cầu UBND phường Tân Phước Khánh cung cấp chứng cứ, đồ vật, tài liệu, dữ liệu điện tử có liên quan đến vụ việc đang xác minh, điều tra.

Dư luận thắc mắc, trong sự việc này, liệu có sự buông lỏng quản lý, thiếu quyết liệt của chính quyền trong việc xử lý các hành vi vi phạm pháp luật hay không.
Ông Thượng Văn Bình, Chủ tịch UBND phường Tân Phước Khánh cho biết, những cán bộ ở thời điểm xảy ra vụ việc đã nghỉ hưu, chuyển công tác.
Hiện nay, trong quá trình cơ quan chức năng điều tra, để tránh trường hợp người dân mua bán, địa phương đã cắm bảng thông báo đất này đang tranh chấp.
“Để không xảy ra rủi ro có người đến mua, giao dịch nữa sẽ làm ảnh hưởng đến tài sản người thứ ba, phường đã cắm bảng đất này không hợp pháp, cấm giao dịch, mua bán. Để đảm bảo an ninh trật tự khu vực, UBND phường đã chỉ đạo khu phố, lực lượng công an, an ninh cơ sở thường xuyên tuần tra, nắm tình hình không để mất an ninh trật tự."

Vụ việc tại phường Tân Phước Khánh không chỉ là một tranh chấp đất đai đơn thuần mà còn là hồi chuông cảnh tỉnh về những rủi ro pháp lý khi giao dịch bất động sản qua hình thức "vi bằng" không đúng quy định.
Hàng chục hộ dân, với phần lớn là công nhân, người lao động nghèo, đã dồn hết tài sản tích cóp cả đời và vay mượn để có được mái nhà, giờ đây đang đứng trước nguy cơ mất trắng.
Người dân nơi đây mong mỏi sự vào cuộc quyết liệt và những giải pháp thấu đáo từ các cấp chính quyền, cơ quan chức năng. Chỉ khi những vấn đề pháp lý phức tạp này được giải quyết một cách công bằng và minh bạch thì người dân mới có thể "an cư lạc nghiệp".


